Warning: Missing argument 6 for hit_update(), called in /home/mobile/board/view.php on line 98 and defined in /home/mobile/inc/m_CommFunc.php on line 248

Warning: Cannot modify header information - headers already sent by (output started at /home/mobile/inc/m_CommFunc.php:248) in /home/mobile/inc/m_CommFunc.php on line 306

Warning: Cannot modify header information - headers already sent by (output started at /home/mobile/inc/m_CommFunc.php:248) in /home/mobile/inc/m_CommFunc.php on line 307
:::: ³¬½Ã»ç¶û - ³¬½Ã»ç¶û,°¡Á·»ç¶û,ÀÚ¿¬»ç¶û ::::
ȸ¿ø°¡ÀÔ | ·Î±×ÀΠ| ½ÃÀÛÆäÀÌÁö | Áñ°Üã±â | ¹®ÀÇ/¿äû/½Å°í

³¬½ÃÅͼ±Åà | Àαâ°Ë»ö¾î | ÈÄ¿ø¹Î¹°³¬½ÃÅÍ | ÈÄ¿ø¹Ù´Ù³¬½Ã
¹Î¹°³¬½Ã | À¯·áÅÍÁ¤º¸ | ¹Ù´Ù³¬½Ã | ·ç¾î/ÇöóÀÌ | Ä¿¹Â´ÏƼ | ³¬¶ûŬ·´ | ³¬½Ã½ºÄð | Áß°íÀåÅÍ | ³¬½ÃQ&A | »ç¿ë±â/°­Á | ÃâÁ¶Á¤º¸ | ¿ëǰÁ¤º¸
µî·ÏµÈ ÇÑÁÙ±¤°í°¡ ¾ø½À´Ï´Ù.

 ½Ç½Ã°£³¬½ÃÅͼҽÄ(ÈÄ¿øÅÍ)

- º» °Ô½Ã¹°À» ¹«´Ü ´Ù¿î·Îµå, µµ¿ë, Àοë, ¸µÅ© ±ÝÁö. HOME >À¯·áÅÍÁ¤º¸ >½Ç½Ã°£³¬½ÃÅͼҽÄ(ÈÄ¿øÅÍ)


Warning: mysql_num_rows(): supplied argument is not a valid MySQL result resource in /home/mobile/inc/config.php on line 304

Warning: mysql_num_rows(): supplied argument is not a valid MySQL result resource in /home/mobile/inc/config.php on line 304

µÎⳬ½ÃÅÍ
ÀÛ¼ºÀÏ : 26.03.17 11 / ÀϹÝÅÍ / µÎⳬ½ÃÅÍ   

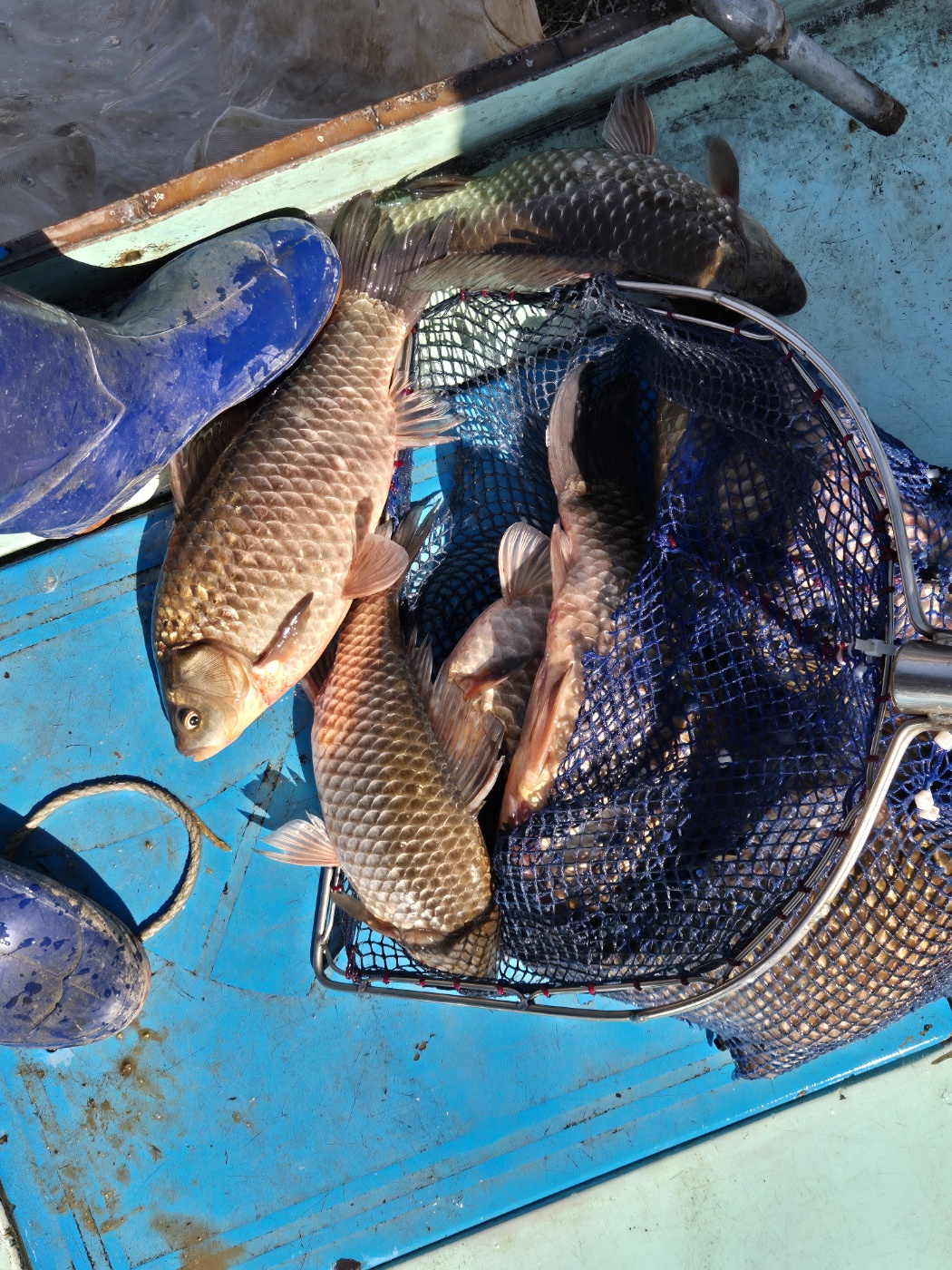
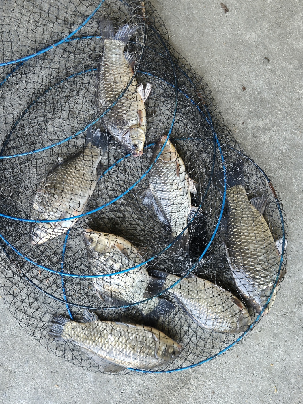
Á¦¸ñ l ¼­¼­È÷ ´ë¹°ºØ¾îµéÀÌ ¿òÁ÷À̱⠽ÃÀÛ^^

 ¿ÃÇØ°¡ À۳⺸´Ù Á¶±Ý ´ÊÀº °¨ÀÌ ÀÖ½À´Ï´Ù

ºØ¾îµéÀÌ ÀÌÁ¦¼­¾ß Á¶±Ý¾¿ ¿òÁ÷ÀÌ´Â ¸ð½ÀÀÌ º¸À̰í ÀÖ½À´Ï´Ù

¸ÚÁø µÎâÁö ´ë¹°ºØ¾î·Î Èú¸µ ÇϽñ⠹ٶø´Ï´Ù

°¨»çÇÕ´Ï´Ù

 

1.jpg

 

 

2.jpg

 

 

3.jpg

 

 

4.jpg

 

 

5.jpg

 

 

6.jpg

 

 

7.jpg

 

 

8.jpg

 

 

9.jpg

 

 

10.jpg

 

 

11.jpg

 

 

12.jpg

 

 

13.jpg

 

 

14.jpg

 

 

15.jpg

 

 

16.jpg

 

 

17.jpg

 

 

18.jpg

 

 

19.jpg

 

 

20.jpg

 

 

21.jpg

 

 

22.jpg

 

 

23.jpg

 

 

24.jpg

 

 

25.jpg

 

 


[÷ºÎ]
  
ÃÑ 0°³ÀÇ ´ñ±ÛÀÌ ÀÖ½À´Ï´Ù.

 ´ñ±Û¾²±â - ´ñ±Û ÀÛ¼º½Ã Æ÷ÀÎÆ®°¡ Àû¸³ µË´Ï´Ù.(ÇØ´ç ±Û 1ȸ).   ´ÔÀÇ ÇöÀç±îÁö Àû¸³µÈ Æ÷ÀÎÆ®´Â -200 Á¡ ÀÔ´Ï´Ù.
 

¼ø¼­|Á¦¸ñ|ÀÛ¼ºÀÚ|ÀÛ¼ºÀÏ

672¼­¼­È÷ ´ë¹°ºØ¾îµéÀÌ ¿òÁ÷À̱⠽ÃÀÛ^^ µÎⳬ½ÃÅÍ26.03.17
671¼­¼­È÷ º½³¿»õ°¡ ³ª±â ½ÃÀÛÇß½À´Ï´ÙµÎⳬ½ÃÅÍ26.03.04
670°Ü¿ïÁغñ¿Ï·á^^µÎⳬ½ÃÅÍ25.12.10
669¾î´Àµ¡ °Ü¿ïÀÌ ¤Ð¤ÐµÎⳬ½ÃÅÍ25.11.13
66810¿ùÀε¥ ÀÌ·¸°Ô Ãß¿ö¿ë ¤Ð ¤ÐµÎⳬ½ÃÅÍ25.10.29
667¹ú½á °Ü¿ïÀ̿µí ^^µÎⳬ½ÃÅÍ25.10.21
666ºñ°¡ ¿Íµµ ³Ê¹« ¿É´Ï´Ù ¤Ð ¤ÐµÎⳬ½ÃÅÍ25.10.14
665Ãß¼®¿¬ÈÞ¿¡ °è¼ÓµÈºñ ¤Ð ¤ÐµÎⳬ½ÃÅÍ25.10.07
664¾¾¾ËÁÁÀº ºØ¾îµéÀÌ ¿Ã¶ó¿À±¸ ÀÖ½À´Ï´Ù^^µÎⳬ½ÃÅÍ25.10.01
663Å«¾¾¾ËÀÇ ºØ¾î°¡ º¸ÀÔ´Ï´Ù^^µÎⳬ½ÃÅÍ25.09.26
662ºñ¿ÂÈÄ ±â¿ÂÀÌ ¸¹ÀÌ ³»·Á°¬½À´Ï´Ù^^µÎⳬ½ÃÅÍ25.09.18
661¹ã±â¿ÂÀÌ ¸¹ÀÌ ³»·Á°°½À´Ï´Ù^^µÎⳬ½ÃÅÍ25.09.10
660ÀÌÁ¦ ³¬½ÃÇÒ¸¸ ÇÕ´Ï´Ù^^µÎⳬ½ÃÅÍ25.09.02
659ó¼­°¡ Áö³ªµµ ¾ÆÁ÷µµ ´þ½À´Ï´Ù^^µÎⳬ½ÃÅÍ25.08.26
658¸·¹ÙÁö ´õÀ§^^µÎⳬ½ÃÅÍ25.08.20
657ÈÞ°¡Ã¶¿¡´Â ³¬½Ã°¡ ÃÖ°í2^^µÎⳬ½ÃÅÍ25.08.13
656ÈÞ°¡Ã¶¿¡´Â ³¬½Ã°¡ ÃÖ°í^^µÎⳬ½ÃÅÍ25.08.06
655±×·¡µµ ¹ã¿¡´Â ¼±¼±ÇÕ´Ï´Ù^^µÎⳬ½ÃÅÍ25.07.29
654ÈÞ°¡Ã¶ µÎâÁö¿¡¼­ ¼Õ¸Àº¸½Ã±¸ Èú¸µÇϼ¼¿ä^^µÎⳬ½ÃÅÍ25.07.22
653µåµð¾î ºñ°¡ ¿É´Ï´Ù^^µÎⳬ½ÃÅÍ25.07.16
652¹ú½áºÎÅÍ ÀÌ·¸°Ô ´õ¿ì¸é ¤Ð ¤ÐµÎⳬ½ÃÅÍ25.07.01
651¸¹Àº ¾çÀÇ ºñ´Â ¾Æ´ÏÁö¸¸ ±×·¡µµ ÁÁ¾Æ¿ä^^µÎⳬ½ÃÅÍ25.06.17
650°è¼ÓÇØ¼­ ²ÙÁØÇÑÁ¶È²À»º¸À̰í ÀÖ½À´Ï´Ù^^2µÎⳬ½ÃÅÍ25.06.11
649°è¼ÓÇØ¼­ ²ÙÁØÇÑÁ¶È²À»º¸À̰í ÀÖ½À´Ï´Ù^^µÎⳬ½ÃÅÍ25.06.03
648Pc°íÀåÀ¸·Î ÀÌÁ¦¼­¾ß ¤Ð¤ÐµÎⳬ½ÃÅÍ25.05.28
647²ÙÁØÇÏ°Ô ¿Ã¶ó¿É´Ï´Ù^^µÎⳬ½ÃÅÍ25.05.20
646²ÙÁØÇÏ°Ô ¿Ã¶ó¿É´Ï´Ù^^µÎⳬ½ÃÅÍ25.05.13
645±Í°¡±æ ¾ÈÀü¿îÀüÇϽñ⠹ٶø´Ï´ÙµÎⳬ½ÃÅÍ25.05.06
644À̳ðÀÇ º½¹Ù¶÷^^µÎⳬ½ÃÅÍ25.04.29
643ºñ°¡¿ÂÈÄ º»°ÝÀûÀ¸·Î^^µÎⳬ½ÃÅÍ25.04.22
642º½ÀÇ ½Ã»ù º¯È­¹«½ÖÇÑ ³¯¾¾^^µÎⳬ½ÃÅÍ25.04.15
6411933³â»ýÀ̽оî¸Ó´ÔÀÇ ³¬½Ã½Ç·Â^^µÎⳬ½ÃÅÍ25.04.07
  1   2   3   4   5   6   7   8   9   10   

 

³¬½Ã»ç¶û ¸ÅÀå¾È³»-Ŭ¸¯
ÀÏ»êÁ¡ ºÎõÁ¡ ¿µµîÆ÷
°­µ¿Á¡ °­¼­Á¡ ¾È¾çÁ¡
¹°¸Ô´ÂÂî ȯ»óÀû Âî³î¸²
Ù£íÝ È²µµÀ±ÀÇ ³î¸²³¬½Ã
Ãß»óÀûµðÀÚÀÎ, ¿Á¼ö¼ö³»¸²
www.nollim.co.kr
ÇÇ½Ì·Îµå ´ëÇѹα¹No1
ÃÖ´ë5%ÇÒÀÎ+3%Ãß°¡Àû¸³
³õÄ¡¸é ÈÄÈ¸ÇØ¿ä!!
www.fishinglord.com
±º°èÀÏÇÐ ³¬½ÃÂîÀÇ ¸í°¡
´ëÇѹα¹ ´ëÇ¥Âî..±º°èÀÏÇÐÀ» ¸¸³ª¸é ³¬½Ã°¡ Áñ°Ì´Ù.
www.ilhak.co.kr/
³¬»ç¸¶ ÃÖ´ë±Ô¸ð/ÃÖÀú°¡
30³âÀüÅëÀÇ ³¬½Ã¸í°¡ Á÷¿µ
±âºÐÁÁÀº ½Å°³³ä ¼îÇθô
www.naksama.com
Åк¸³¬½Ã ·ç¾îÀü¹®¼îÇθô
·ç¾î³¬½ÃÀÇ ¸ÞÄ«/Áß½ÉÁö
ÃÖ´ë±Ô¸ð ÃÖ´ëǰ¸ñ ¼îÇθô
www.ytfishing.co.kr
Çǽ̽ºÅä¾î ½Å°³³ä¼îÇθô
´õÀÌ»ó ³»¸±°÷ÀÌ ¾ø½À´Ï´Ù.
ÃÖÀú°¡!Çǽ̽ºÅä¾î ÀÚÁ¸½É
www.fishingstore.co.kr
ÂîÀ̾߱â Âî Àü¹® ¼îÇθô
´ëÇѹα¹ Âî´Â ´Ù ¸ð¿´´Ù
°¡°Ý!!ǰÁú!! ºñ±³±¸¸Å ¸ô
http://www.jjistory.co.kr
ÀÔÁú´ë¹Ú Àü±¹ÃÖ°í¼îÇθô
³¬½ÃÀåºñ Àå³­°¨ º¸´Ù ½Ñ°÷
ÃÖÀú°¡°Ý, ÃÖ´ëǰÁúÀº ±âº»
www.fishcatch.co.kr
¶ó¹Ì¾ß ½Å°³³ä ÀüÀÚ´ã¹è
Ÿ¸£ ¹× À¯Çع°ÁúÀÌ ¾ø´Â ´ë¸®Á¡¸ðÁý:02-3424-2089
www.tabac.co.kr
Àα⠳¬½ÃÁ¦Ç°/³¬½ÃÁ¤º¸
À̳ëÇǽÌ-Âî Àü¹®¾÷ü
ģȯ°æ ³¬½Ã¹®È­¸¦ °¡²Ù´Â
ÂîºÎ·¹,²ç¹ÌÃß,ºÎ·¹Âî¸ÅÁ÷
www.innofishing.com
ȲÅÂÀÚÂî-ȲÅÂÀÚ¸ÅÁ÷
È­ÅÂÀÚÀÇ¿©À¯¸¦´À³¥¼öÀÖ´Â
ÁßÈÄÇÏ°í ±ä Âî¿Ã¸²
www.danakka.co.kr
³¬½Ã»ç¶û ¼­ºÏºÎÃÖ´ë±Ô¸ð
³¬¶ûȸ¿ø Ưº°ÇÒÀÎ ¹× Àû¸³
õ°æ,ÆÄ¿ö¸¶ºí,Æä·Î¸ó,½Åºñ
www.nssr.co.kr
³¬½Ã»ç¶û ºÎõÁ¡-1È£Á¡
ÃÖÀú°¡±âº»,ÃæºÐÇÑÁÖÂ÷
³¬¶ûȸ¿ø ÃÖ°íÁ¶°Ç¹×¿ì´ë
¿ù°£³¬½Ã21-(ÁÖ)°­¸¶À»
´ëÇ¥ ³¬½ÃÁ¤º¸ Àü¹® ¿ù°£Áö
Á¤±â±¸µ¶ »çÀºÇ° ÁõÁ¤
www.fishingnews.co.kr
·¹ÀüµåFTK-ÇǽÌÅ×Å©ÄÚ¸®¾Æ
¹Î¹° ³¬½Ë´ëÀÇ Àü¼³À̵É
Çѱ¹Çü ÀüõÈÄ ´ë¹°³¬½Ã´ë
www.ftko.co.kr

ÀÌÀüÆäÀÌÁö

À§·Î

´ÙÀ½ÆäÀÌÁö

³¬½Ã»ç¶û ¼Ò°³ | ¿À½Ã´Â±æ | ³¬½Ã»ç¶û ¹è³Ê | ÀÌ¿ë¾à°ü(°Ô½ÃÆÇ¿î¿µ¿øÄ¢) | À̸ÞÀϹ«´Ü¼öÁý°ÅºÎ | °³ÀÎÁ¤º¸Ãë±Þ¹æÄ§ | ±Ç¸®Ä§ÇØ½Å°í¼¾ÅÍ
Copyright 1997~2011 (ÁÖ)À¥¶óÀÌÇÁ/³¬½Ã»ç¶û All rights reserved »ç¾÷ÀÚµî·Ï¹øÈ£ 110-81-42683
»ç¾÷Àå : ¼­¿ïƯº°½Ã ¿µµîÆ÷±¸ ¿µµîÆ÷µ¿ 8°¡ 14-6 »ó·Ïºôµù3Ãþ
TEL : (¿î¿µº»ºÎ) 02-2634-2727 | (FAX) 02-2634-2730 | (¿¡ÇÁ¸¶ÄÏ) 02-2634-2755 | [¿î¿µÀÚ¸ÞÀÏ]